More Photos
 at 114 Ackworth Road, Lepperton, New Plymouth, Taranaki
 at 114 Ackworth Road, Lepperton, New Plymouth, Taranaki
 at 114 Ackworth Road, Lepperton, New Plymouth, Taranaki
 at 114 Ackworth Road, Lepperton, New Plymouth, Taranaki
 at 114 Ackworth Road, Lepperton, New Plymouth, Taranaki
FOR SALE

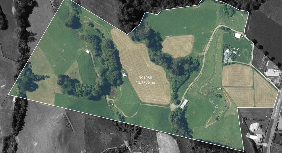
114 Ackworth Road, Lepperton, New Plymouth, Taranaki

Listed: 19 Feb 2026
Enquiries over $1,860,000
4
3
View council records

Home loan repayment

Estimated home loan payment:
$1,162/ fortnight

Find the right home loan for you

Whether you’re a first home buyer, or looking to buy your next home, an ANZ Home Loan Coach can help you on your journey.
Advertisement
Property Brokers - New Plymouth
Are you the owner? Track your home now.

Home loan repayment

Estimated home loan payment:
$1,162/ fortnight

Find the right home loan for you

Whether you’re a first home buyer, or looking to buy your next home, an ANZ Home Loan Coach can help you on your journey.
Advertisement

Property estimates

HomesEstimate: 19 Mar 2026

$1.92M

Estimate range

$1.82M
$2.03M

These are computer generated price guides only. For a property appraisal, please contact a local agent.